Connect

County Road 31, Fort Lupton, CO – $300,000

  • $300k Price
  • 9.06 Acres
  • $300k Price
  • 9.06 Acres

New Search X

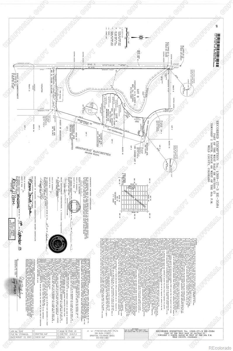
County Road 31

This 9.06 Acres is two parcels being sold together. A 6.59 Acre Parcel and a 2.50 Acre Parcel. Property sits on the Northeast corner of County Road 31 and Lamb Ave, Fort Lupton CO. Note*** There is an easement for the ditch and an easement for a pipeline on this property.

Listing Office: TEATER REALTY CO

Essential Information

  • MLS® #1949924
  • Price$300,000
  • Bathrooms0.00
  • Acres9.06
  • TypeLand
  • Sub-TypeUnimproved Land
  • StatusActive

Community Information

  • AddressCounty Road 31
  • SubdivisionRural
  • CityFort Lupton
  • CountyWeld
  • StateCO
  • Zip Code80621

Exterior

  • Lot DescriptionDitch

School Information

  • DistrictWeld County RE-8

Additional Information

  • Date ListedJune 2nd, 2023
  • ZoningAg

Listing Details

  • TEATER REALTY CO
Please provide a valid email address.

Terms and Conditions: The content relating to real estate for sale in this Web site comes in part from the Internet Data eXchange ("IDX") program of METROLIST, INC., DBA RECOLORADO® Real estate listings held by brokers other than RE/MAX Professionals are marked with the IDX Logo. This information is being provided for the consumers personal, non-commercial use and may not be used for any other purpose. All information subject to change and should be independently verified.

Copyright 2025 METROLIST, INC., DBA RECOLORADO® -- All Rights Reserved 6455 S. Yosemite St., Suite 500 Greenwood Village, CO 80111 USA

Listing information last updated on November 23rd, 2025 at 6:48pm MST.