Connect

305 Badger Lane, Hartsel, CO – $87,000

  • $87k Price
  • 63.32 Acres
  • $87k Price
  • 63.32 Acres

New Search X

305 Badger Lane

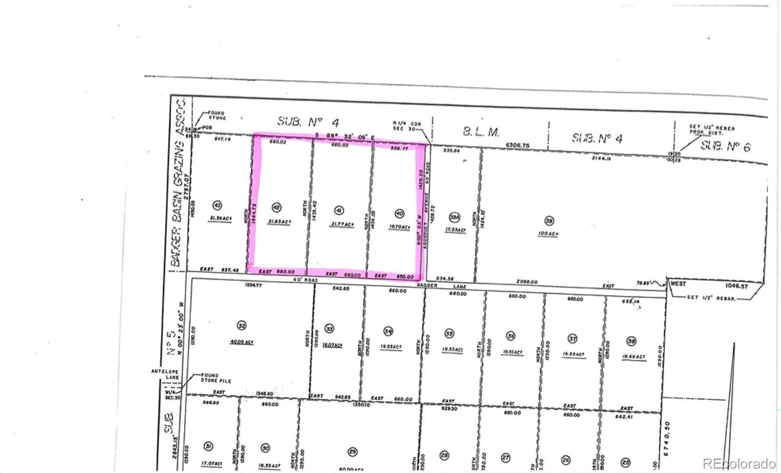
Three large lots being sold as one parcel adding up to over 63 acres with Agricultural zoning. This corner lot will qualify for three wells and is accessible from both Badger and Aquaduct. Build your very own off-grid ranch. Camp under the crystal clear nighttime skies. Graze your livestock. Huge mountain views all around and mostly level land make all possibilities possible. Situated in the nice, quiet area of South Park Meadows, your solitude will be uninterrupted. Located just minutes from CR 15 access will be easy year round on County maintained roads. Park County is an outdoor mountain paradise. Every adventure is accessible. Fish on the South Platte River and in three stocked reservoirs. Explore the mountains on foot, bike, or ATV. Skiing and white water rafting are a short day trip away. Plus, the historic town of Fairplay is minutes away for anything you might need. Whether you plan to build or camp or invest, this is a great opportunity. Trees, No; Power, No; Phone, Yes. SOUTH PARK MEADOWS SUB 1 LOTS 40, 41, 42

Listing Office: Jefferson Real Estate

Essential Information

  • MLS® #3069200
  • Price$87,000
  • Bathrooms0.00
  • Acres63.32
  • TypeLand
  • Sub-TypeUnimproved Land
  • StatusActive

Community Information

  • Address305 Badger Lane
  • SubdivisionSOUTH PARK MEADOWS
  • CityHartsel
  • CountyPark
  • StateCO
  • Zip Code80449

Amenities

  • ViewMeadow, Mountain(s)

Utilities

Off Grid, Phone Available, Propane

Exterior

Lot Description

Level, Meadow, Suitable For Grazing

School Information

  • DistrictPark County RE-2

Additional Information

  • Date ListedMay 6th, 2025
  • ZoningAgricultural

Listing Details

  • Jefferson Real Estate
Please provide a valid email address.

Terms and Conditions: The content relating to real estate for sale in this Web site comes in part from the Internet Data eXchange ("IDX") program of METROLIST, INC., DBA RECOLORADO® Real estate listings held by brokers other than RE/MAX Professionals are marked with the IDX Logo. This information is being provided for the consumers personal, non-commercial use and may not be used for any other purpose. All information subject to change and should be independently verified.

Copyright 2025 METROLIST, INC., DBA RECOLORADO® -- All Rights Reserved 6455 S. Yosemite St., Suite 500 Greenwood Village, CO 80111 USA

Listing information last updated on November 14th, 2025 at 6:03pm MST.