Connect

800 S Reigel Court, Moffat, CO – $210,000

  • $210k Price
  • 1.07 Acres
  • $210k Price
  • 1.07 Acres

New Search X

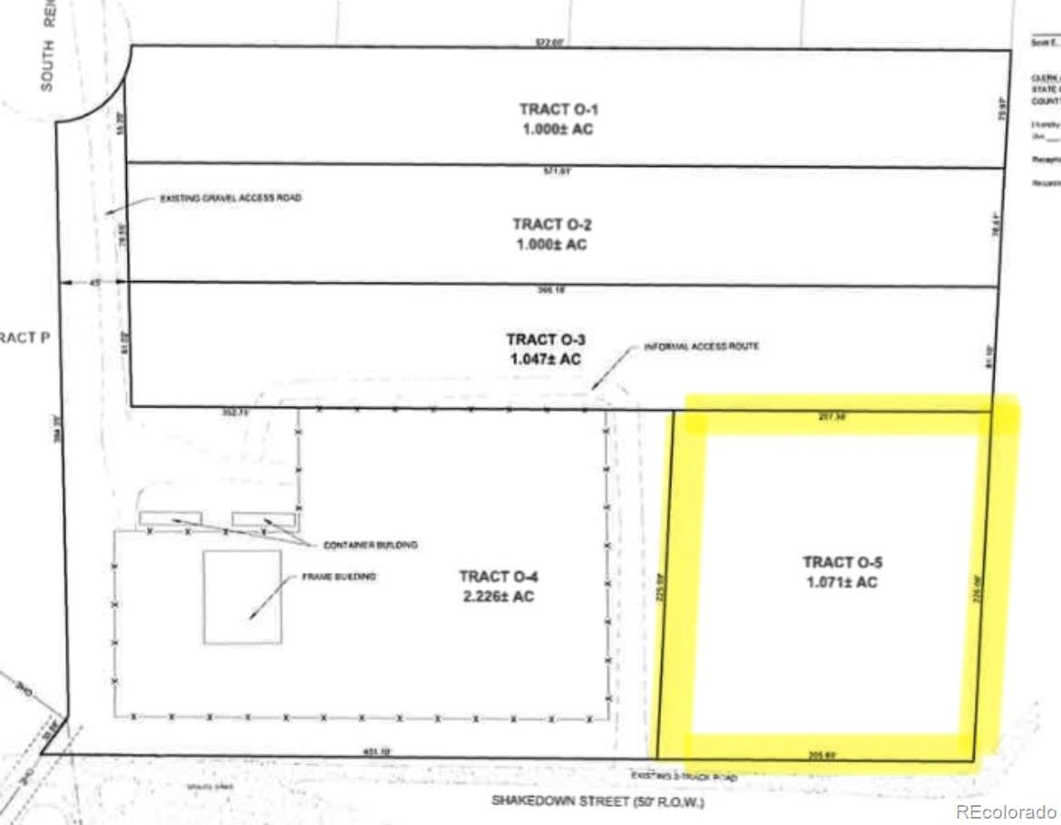
800 S Reigel Court

Own a piece of Colorado's Area 420, specifically designated for legal commercial cannabis cultivation. This prime land is situated within a commercial cannabis park, perfect for both indoor and outdoor growing, benefiting from abundant sunshine. With no building codes to restrict your plans, access to electricity, and a reliable clean water supply, you'll be part of a thriving community of growers. If you're looking for more than one acre, there are three additional tracts available that link to this one. The plat map is currently preliminary and can be tailored to align with the vision of the first investor before finalizing and recording the lots. This offers a unique opportunity to customize your investment to suit your specific needs and goals.

Listing Office: First Colorado Land Office, Inc.

Essential Information

  • MLS® #6895761
  • Price$210,000
  • Bathrooms0.00
  • Acres1.07
  • TypeLand
  • Sub-TypeImproved Land
  • StatusActive

Community Information

  • Address800 S Reigel Court
  • SubdivisionMOFFAT 420 ANNEX Tract: O
  • CityMoffat
  • CountySaguache
  • StateCO
  • Zip Code81143

Amenities

  • UtilitiesElectricity Available

Exterior

  • Lot DescriptionLevel

School Information

  • DistrictMoffat County RE-1

Additional Information

  • Date ListedMarch 31st, 2025
  • ZoningCannabis

Listing Details

First Colorado Land Office, Inc.

Office Contact

kerigagerealtor@gmail.com,970-531-4661

Please provide a valid email address.

Terms and Conditions: The content relating to real estate for sale in this Web site comes in part from the Internet Data eXchange ("IDX") program of METROLIST, INC., DBA RECOLORADO® Real estate listings held by brokers other than RE/MAX Professionals are marked with the IDX Logo. This information is being provided for the consumers personal, non-commercial use and may not be used for any other purpose. All information subject to change and should be independently verified.

Copyright 2025 METROLIST, INC., DBA RECOLORADO® -- All Rights Reserved 6455 S. Yosemite St., Suite 500 Greenwood Village, CO 80111 USA

Listing information last updated on November 20th, 2025 at 11:04pm MST.