Connect

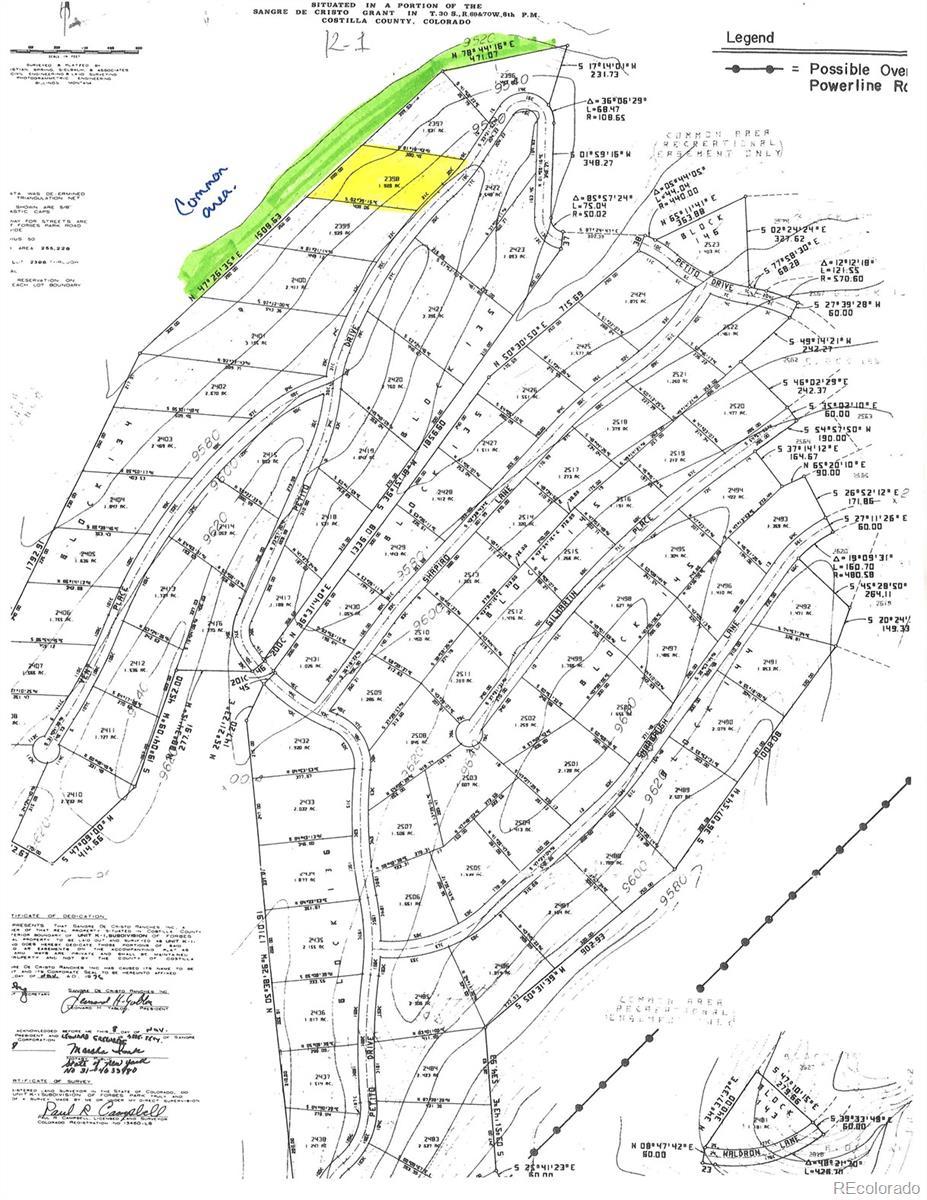
2398 Petito Drive, Fort Garland, CO – $15,900

  • $15.9k Price
  • 1.92 Acres
  • $15.9k Price
  • 1.92 Acres

New Search X

2398 Petito Drive

This parcel has great views stretching across the adjoining common meadows that often fill with Elk and Deer! 1.928 Acres offers your own piece of rocky mountain paradise. Located in a secure gated community that allows one to truly unplug and relax! Property was in 2018 Spring Fire!

Listing Office: Mtn. Meadows Realty

Essential Information

  • MLS® #7617129
  • Price$15,900
  • Bathrooms0.00
  • Acres1.92
  • TypeLand
  • Sub-TypeUnimproved Land
  • StatusActive

Community Information

  • Address2398 Petito Drive
  • SubdivisionForbes Park
  • CityFort Garland
  • CountyCostilla
  • StateCO
  • Zip Code81133

Amenities

  • UtilitiesElectricity Available
  • ViewMountain(s), Valley

Exterior

Lot Description

Borders Public Land, Mountainous

School Information

  • DistrictSierra Grande R-30

Additional Information

  • Date ListedMay 22nd, 2024
  • Zoningresidential

Listing Details

  • Mtn. Meadows Realty
Please provide a valid email address.

Terms and Conditions: The content relating to real estate for sale in this Web site comes in part from the Internet Data eXchange ("IDX") program of METROLIST, INC., DBA RECOLORADO® Real estate listings held by brokers other than RE/MAX Professionals are marked with the IDX Logo. This information is being provided for the consumers personal, non-commercial use and may not be used for any other purpose. All information subject to change and should be independently verified.

Copyright 2025 METROLIST, INC., DBA RECOLORADO® -- All Rights Reserved 6455 S. Yosemite St., Suite 500 Greenwood Village, CO 80111 USA

Listing information last updated on November 11th, 2025 at 9:18pm MST.