Connect

County Road 5 1/2, Mead, CO – $2,000,000

  • $2M Price
  • 53.2 Acres
  • $2M Price
  • 53.2 Acres

New Search X

County Road 5 1/2

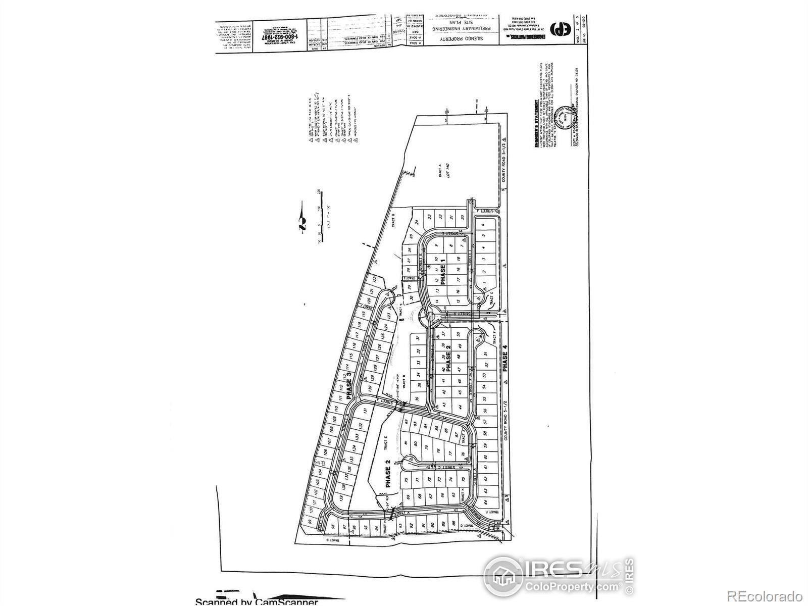
53.2 acres total +/- that is poised for development adjacent to the Liberty Ranch neighborhood. Residential land was preliminarily platted for 139 residential lots. Close to shopping, schools, and parks. Please do not disturb tenants.

Listing Office: Group Mulberry

Essential Information

  • MLS® #IR954861
  • Price$2,000,000
  • Bathrooms0.00
  • Acres53.20
  • TypeLand
  • Sub-TypeImproved Land
  • StatusActive

Community Information

  • AddressCounty Road 5 1/2
  • SubdivisionNone
  • CityMead
  • CountyWeld
  • StateCO
  • Zip Code80504

Amenities

  • ViewMountain(s)

Exterior

  • Lot DescriptionCorner Lot

School Information

  • DistrictSt. Vrain Valley RE-1J
  • ElementaryMead
  • MiddleMead
  • HighMead

Additional Information

  • Date ListedNovember 10th, 2021
  • ZoningAG

Listing Details

  • Group Mulberry
Please provide a valid email address.

Terms and Conditions: The content relating to real estate for sale in this Web site comes in part from the Internet Data eXchange ("IDX") program of METROLIST, INC., DBA RECOLORADO® Real estate listings held by brokers other than RE/MAX Professionals are marked with the IDX Logo. This information is being provided for the consumers personal, non-commercial use and may not be used for any other purpose. All information subject to change and should be independently verified.

Copyright 2025 METROLIST, INC., DBA RECOLORADO® -- All Rights Reserved 6455 S. Yosemite St., Suite 500 Greenwood Village, CO 80111 USA

Listing information last updated on December 30th, 2025 at 10:03pm MST.